Town Files: 24T-25010/M and Z-24/25

In accordance with the provisions of the Planning Act, this is to advise that a complete application has been received and a statutory public meeting has been scheduled by the Town of Milton’s Development Services Department for a draft plan of subdivision and zoning by-law amendment for lands located Part of lot 9, Concession 8 (NS) Geographic Township of Trafalgar, Town of Milton, Region of Halton.

Location

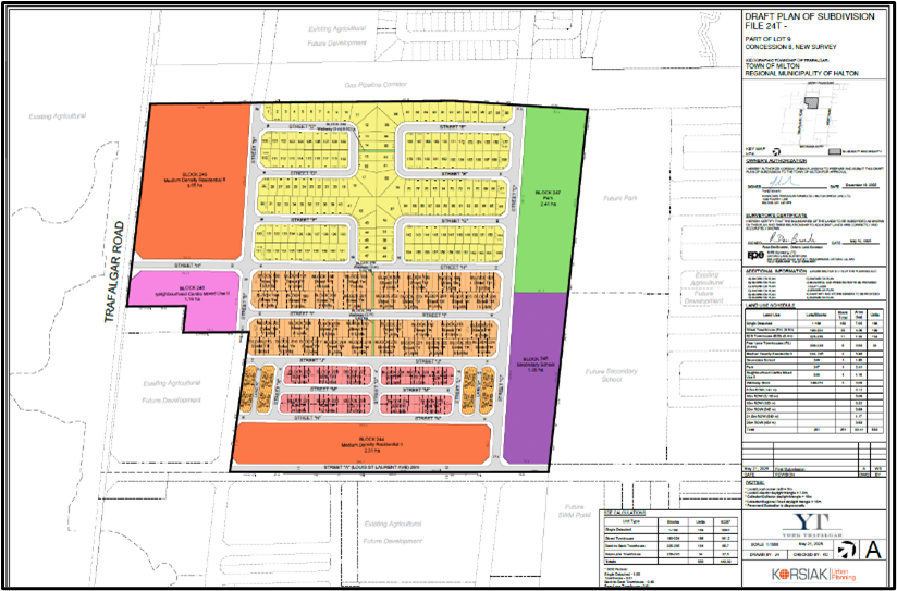
The subject lands are located on the east side of Trafalgar Road, south of the existing Union Gas corridor, and north of the future Louis St. Laurent extension.

View map 

Applicant's Proposal

The applicant is seeking an amendment to the Town’s Zoning By-law to rezone the subject lands from the current Future Development (FD) and Natural Heritage System (NHS) zones to a site-specific Residential Medium Density 1 (RMD1*XXX) Zone, site-specific Residential Medium Density 2 (RMD2*XXX) Zone, site-specific Mixed Use (MU*XXX) zone, Natural Heritage System (NHS) Zone, Open Space (OS) Zone, Open Space 2 (OS-2) Zone and Minor Institutional (I-A) Zone symbols. The changes in zoning are requested to facilitate the development of the lands for a residential plan of subdivision.

Specifically, the development proposes 189 single detached dwellings, 199 street townhouse dwellings, 134 back-to-back townhouse dwellings and 34 rear-lane townhouse dwellings for a total of 556 residential units on the subject lands. Additionally, the proposed development provides 2.41 hectares of land for medium density residential dwellings including stacked towns, rear-lane towns and apartment buildings and 1.16 hectares of land for standalone and/or mixed-use buildings. The proposed development will provide a portion of the secondary school site and a portion of the Park Type 1 along the east boundary of the subject lands abutting the future collector road (Street “C”) as shown on the proposed draft plan of subdivision.

Planning Act Requirements

The Planning Act requires that all complete applications be processed. The applications are now being circulated to Town Departments and Agencies for technical review. No decision has been made regarding the applications.

The following was submitted by the applicant in support of their applications:

  • Planning Justification Report

  • Hydrogeological Report

  • Engagement Strategy

  • Archaeological Assessment

  • Draft Zoning By-law Amendment

  • Transportation Impact Study

  • Noise and Vibration Report

  • Urban Design Guidelines

  • Functional Servicing Report & Stormwater Management Report

  • Site Plan & Details

  • Elevations & Floor Plans

  • Phase One Environmental Site Assessment

  • Landscape Plan

  • Record of Site Condition

  • Waste Management Plan

Statutory Public Meeting details

Members of the public are invited to provide input at the statutory public meeting.

Date: Monday, Feb. 9, 2026
Time: 7 p.m.
Place:  Council Chambers, 150 Mary St., Milton

A decision about the application will not be made by Milton Council at this meeting.

View the report to Council on or after Feb. 2, 2026.

Get involved

The community is invited to attend and participate in the statutory public meeting. This meeting will be held as a hybrid meeting with members of the public having the opportunity to participate in-person at Town Hall or electronically. Members of the public are also encouraged to view the meeting by watching the live stream. Should you wish to delegate to a Council meeting please complete the online delegation form by noon on Thursday, Feb. 5, 2026.

If you wish to be notified of the decision of Milton Council on the proposed zoning by-law amendment, you must make a written request to the Town Clerk, 150 Mary St., Milton ON L9T 6Z5 or by email.  For a copy of the documents, please contact Development Services.

The Town of Milton is dedicated to meeting the needs of all members of the public. For documents in an alternative format such as braille, large print, electronic or plain language, contact the Town Clerk.

Contact

Any questions or concerns relating to this application, including information about appeal rights, contact Development Services

Legal Notices required under the Planning Act

If a person or public body would otherwise have an ability to appeal the decision of Milton Council to the Ontario Land Tribunal but the person or public body does not make oral submissions at a public meeting or make written submissions to the Town of Milton before the by-law is passed, the person or public body is not entitled to appeal the decision.

If a person or public body does not make oral submissions at a public meeting, or make written submissions to Milton Council before the by-law is passed, the person or public body may not be added as a party to the hearing of an appeal before the Ontario Land Tribunal unless, in the opinion of the Tribunal, there are reasonable grounds to do so.

If you have received this notice and are an owner of a property and said property contains seven or more residential units, you are required to post this notice in a location that is visible to all the residents.  There are currently no other planning applications associated with this property.

Personal information is collected under the authority of the Planning Act, R.S.O. 1990, c.P. 13 and may be contained in an appendix to a staff report, published in the meeting agenda, delegation list and/or the minutes of the public meeting and made part of the public record. The Town of Milton collects this information in order to make informed decisions on the relevant issues and to notify interested parties of Council’s decisions. It may also be used to serve notice of Ontario Land Tribunal hearing. Names and addresses contained in submitted correspondence and other information will be available to the public, unless the individual expressly requests the Town to remove their personal information. The disclosure of this information is governed by the Municipal Freedom of Information and Protection of Privacy Act, R.S.O. 1990, c.M. 56. Questions about this collection and disclosure should be directed to the Planner listed above.