Town files: LOPA-06/25 and Z-16/25
In accordance with the provisions of the Planning Act, this is to advise that a statutory public meeting has been scheduled by the Town of Milton’s Development Services Department for an office plan amendment and zoning by-law amendment for lands located at 1190 Bronte Street South
Meeting details
Members of the public are invited to provide input at the virtual statutory public meeting.
Date: Monday, Nov. 3, 2025
Time: 7 p.m.
Place: Council Chambers, 150 Mary St., Milton
A decision about the application will not be made by Milton Council at this meeting.
Application details

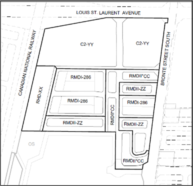
- The applicant is seeking an Official Plan Amendment and Zoning By-law Amendment (associated with a Draft Plan of Subdivision) to modify the limits of the Secondary Mixed Use Node. In part with this, the high-density components will be revised while also establishing permissions for medium density uses. The proposed site-specific zoning will address site-specific relief that will accommodate the proposed built-form and siting configuration.
View the report to Council on or after Tuesday, Oct. 28, 2025 at www.milton.ca/CouncilAgenda.
Get involved
The community is invited to attend and participate in the statutory public meeting. This meeting will be held as a hybrid meeting with members of the public having the opportunity to participate in-person at Town Hall or electronically. Members of the public are also encouraged to view the meeting by watching the live stream. Should you wish to delegate to a Council meeting please complete the online delegation form by noon on Thursday, Oct. 30, 2025.
If you wish to be notified of the decision of Milton Council on the proposed zoning by-law amendment, you must make a written request to the Town Clerk, 150 Mary St., Milton ON L9T 6Z5 or by email. For a copy of the documents, please contact Development Services.
The Town of Milton is dedicated to meeting the needs of all members of the public. For documents in an alternative format such as braille, large print, electronic or plain language, contact the Town Clerk.
Contact
Any questions or concerns relating to this application, including information about appeal rights, contact Development Services.
Legal notices required under the Planning Act
If a person or public body would otherwise have an ability to appeal the decision of Milton Council to the Ontario Land Tribunal but the person or public body does not make oral submissions at a public meeting or make written submissions to the Town of Milton before the by-law is passed, the person or public body is not entitled to appeal the decision.
If a person or public body does not make oral submissions at a public meeting, or make written submissions to Milton Council before the by-law is passed, the person or public body may not be added as a party to the hearing of an appeal before the Ontario Land Tribunal unless, in the opinion of the Tribunal, there are reasonable grounds to do so.
If you have received this notice and are an owner of a property and said property contains seven or more residential units, you are required to post this notice in a location that is visible to all the residents.
Personal information is collected under the authority of the Planning Act, R.S.O. 1990, c.P. 13 and may be contained in an appendix to a staff report, published in the meeting agenda, delegation list and/or the minutes of the public meeting and made part of the public record. The Town of Milton collects this information in order to make informed decisions on the relevant issues and to notify interested parties of Council’s decisions. It may also be used to serve notice of Ontario Land Tribunal hearing. Names and addresses contained in submitted correspondence and other information will be available to the public, unless the individual expressly requests the Town to remove their personal information. The disclosure of this information is governed by the Municipal Freedom of Information and Protection of Privacy Act, R.S.O. 1990, c.M. 56. Questions about this collection and disclosure should be directed to the Planner listed above.
Jill Hogan, Commissioner
Town of Milton Development Services Department
150 Mary St., Milton, Ont. L9T 6Z5
Oct. 9, 2025
Contact Us