Town file: LOPA 03/26 & Z-02/26

In accordance with the provisions of the Planning Act, this is to advise that Avani Steel Corporation Ltd. has applied for an Official Plan Amendment and a Zoning By-Law Amendment. 

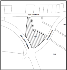
Location

The subject property is situated on the northwest corner of No. 5 Side Road (new) and James Snow Parkway.  The subject property is located in Ward 1 and has an area of approximately 1.77 hectares. The property is legally described as Part Block 6 on Plan 20M-1119 in the Town of Milton and municipally identified as 7265 No. 5 Side Road. The site is within the Milton 401 Industrial/Business Park Secondary Plan and is designated as Business Park and General Industrial Area.  The subject lands are currently zoned site-specific Business Park (M1*362) in the Town’s Zoning By-law. The site-specific zoning permits Truck Sales in addition to other uses permitted in the Business Park zone.

View map 

Applicant's Proposal

The proposed Official Plan Amendment (OPA) and Zoning By-law Amendment (ZBA) seeks to add a “transportation terminal” to the existing on-site uses of truck rental, leasing and servicing and auto sales.

Planning Act Requirements

The Planning Act requires that all complete applications be processed.  The applications are now being circulated to Town Departments and Agencies for technical review.  No decision has been made regarding this application.

The following was submitted by the applicant in support of their application:

  • Planning Justification Report
  • Architectural Drawings
  • Draft Official Plan Amendment
  • Draft Zoning By-law Amendment
  • Site Plan
  • Elevation Drawings and Rendering
  • Functional Servicing Report
  • Traffic Impact Brief
  • Noise Impact Brief

During this review the Applicant will be hosting a public information session to provide details of their proposed development.

Notice of the Statutory Public Meeting will be given in accordance with the Planning Act requirements.  The Statutory Public Meeting is where members of the public will be invited to obtain information, make a verbal presentation and/or written submission, to identify issues of concern and/or express views in support of, or in opposition to, the proposed application at the Statutory Public Meeting only.

More information

The public may view a copy of the related information and background material by contacting the Development Services Department. You can also view updates to this proposed development and it's status, notice and upcoming public meetings.

Questions or written submissions relating to this application may be directed to Development Services.

 

Jill Hogan,

Commissioner, Development Services Department

Date of Notice: March 30, 2026